当前位置: >首页 >测绘智库 >智库观点
李德仁院士团队: 时空智能STI--观点与展望
发布时间:2026-01-06     来源:慧天地     浏览:4304次

图片

题目:Perspectives on spatio-temporal intelligence

期刊:ISPRS Journal of Photogrammetry and Remote Sensing

论文:https://doi.org/10.1016/j.isprsjprs.2025.12.011

单位:武汉大学等

年份:2026

核心概念

本文提出了时空智能(Spatio-Temporal Intelligence, STI)作为一个新兴的跨学科领域,它将时空数据与人工智能驱动的计算方法相结合,用于建模、解释和管理复杂的物理、环境和社会过程。

图片

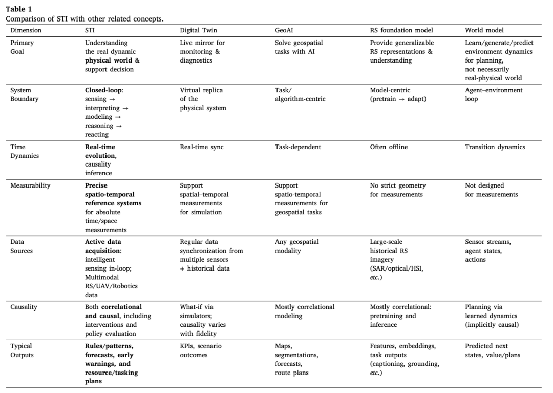
与其它概念比较:

  • STI(时空智能)

  • Digital Twin(数字孪生)

  • GeoAI(地理人工智能)

  • RS Foundation Model(遥感基础模型)

  • World Model(世界模型)

图片

核心目标(6W到4R)

STI旨在回答:

  • 6W:何时(When)、何地(Where)、何物(What Object)、何变(What Change)、何因(Why)、何为(What Reaction)

  • 4R:在正确的时间、向正确的人、在正确的地点、提供正确的信息

STI的主要应用范围

  • 空天领域的STI(STI in Aerospace):基于卫星和无人机监测地球系统、环境过程和人类活动

  • 深海领域的STI(STI in Deep-sea):利用水下航行器和传感器监测海洋动力学和海洋生态系统

  • 深空领域的STI(STI in Deep-space):行星探索、太空天气监测和天体跟踪

  • 人体领域的STI(STI in Human-body):使用胶囊机器人、可穿戴设备和植入式传感器进行内部生理监测,实现精准医疗

图片

总体框架

作者提出了一个包含五个基础组件的统一框架:

  • 时空基准:建立定位、测量和建模所需的坐标和时间框架

  • 动态信息自适应感知:动态协调多平台传感器(卫星、无人机、机器人)

  • 多模态数据融合与解译:将异构观测整合为统一表示

  • 时空因果推理与预测:发现复杂系统中的因果结构和依赖关系

  • 任务规划与智能服务:将分析结果转化为情境感知的决策就绪产品

图片

图片

三个基本原则

  • 感知智能:情境感知、异构传感器的自主协调

  • 认知智能:跨空间和时间尺度的结构化理解

  • 行动智能:整合感知、认知和服务交付以实现响应式决策

案例研究

论文通过中国三江源国家公园雪豹保护生态监测系统展示了STI的应用,包括:

  • 多源传感器集成(卫星、无人机、地面机器人)

  • 实时种群监测

  • 带有早期预警的非法狩猎预防

  • 通过自适应管理进行栖息地保护

该系统实现了"感知-认知-行动"的自动闭环,实现了30分钟内发现反偷猎活动。

图片

图片

主要技术挑战与进展

论文详细讨论了五个关键技术领域的挑战和解决方案:

  • 时空参考系统:高精度时间同步、空间坐标系统统一、多尺度时空集成

  • 智能感知:自适应模态选择、异构传感协调、实时资源优化

  • 多模态数据表示:多模态时空融合、动态潜在状态建模、物理信息和知识增强学习

  • 因果推断:时空因果发现、因果表示学习、反事实模拟

  • 智能服务:低延迟边缘计算、精准定位、可解释推理、隐私保护

未来发展方向

  • 基础设施层面:深度整合通信、导航、遥感和计算

  • 理论层面:从静态空间分析转向动态四维环境的理论建模和推理

  • 算法层面:开发融合传感器语义、空间先验和环境约束的STI专用基础模型

STI代表了从传统地球科学向智能、自适应系统的范式转变,能够实现大规模、实时的环境理解,支持人类与自然的和谐共存和可持续发展。它不仅是信息科学的新前沿,也是构建韧性、智能和可持续未来的基础设施。

更多图表分析可见原文 


主管部门:
自然资源部
民政部
中国科协
京ICP备14037318号-1 京公网安备 11010802031220号
主办:中国测绘学会    技术支持 :江苏润溪时空智能科技股份有限公司
联系电话:010-63881345      邮箱地址:zgchxh1401@163.com
联系地址:北京市海淀区莲花池西路28号西裙楼四层